3406 Mansfield Street, Houston, TX

$1,595,000

Previous Next

2.91

Acres

About 3406 Mansfield Street

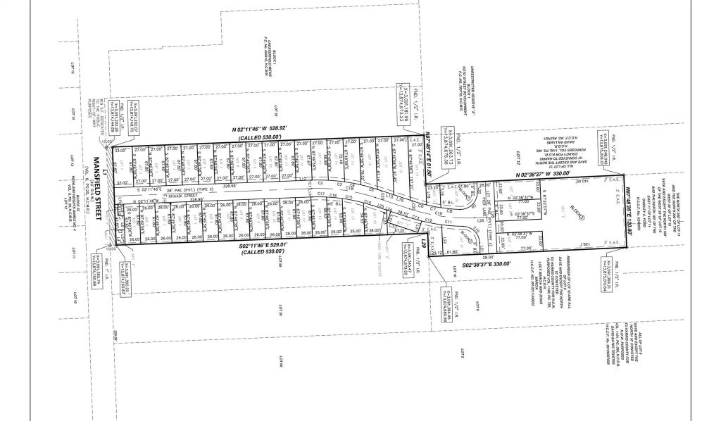
This nearly three-acre property, spanning three tax parcels (0600730230056, 0600730230011, and 0600730230096) are being platted into 40 well-proportioned lots. New Plat should be recorded by the end of September. Civil plans and permits are also up for approval, positioning the site for swift development. Located in a prime area surrounded by numerous new projects, it is just minutes from Oak Forest and Garden Oaks, with excellent access to TC Jester, The Heights, Highway 290, Interstate 45, and North Loop 610. In the heart of a rapidly transforming neighborhood and surrounded by newly constructed luxury homes, this area is quickly becoming one of Houston’s most desirable destinations. Developers and investors—seize this rare chance to build or invest in a thriving community. *All information should be independently verified by the buyer.

Features of 3406 Mansfield Street

MLS® # 42451294
Price $1,595,000
Square Footage 126585.36
Acres 2.91
Type Land
Sub-Type Lots
Status Active

Community Information

Address 3406 Mansfield Street
Area 9
Subdivision Highland Heights Annex Sec 04
City Houston
County Harris
State TX
Zip Code 77091-4616

Amenities

Utilities Gas Availability Unknown, Cable Unknown, Electricity Available
Is Waterfront No
Has Pool No
New Construction No
Golf Course N

Interior

Fireplace No

Exterior

Lot Description Can Be Subdivided, 2 Up to 5 Acres, Cleared

School Information

District 1 - Aldine
Elementary Harris Academy
Middle Hoffman Middle School
High Eisenhower High School

Additional Information

Days on Website 44
Foreclosure No
Short Sale No
RE / Bank Owned No

Listing Details

OfficeWalzel Properties - Corporate Office

Listing Map

Request a Showing

Provide a valid email address.
When would you like to view this property?