London Street, Houston, TX

$500,000

Previous Next

About London Street

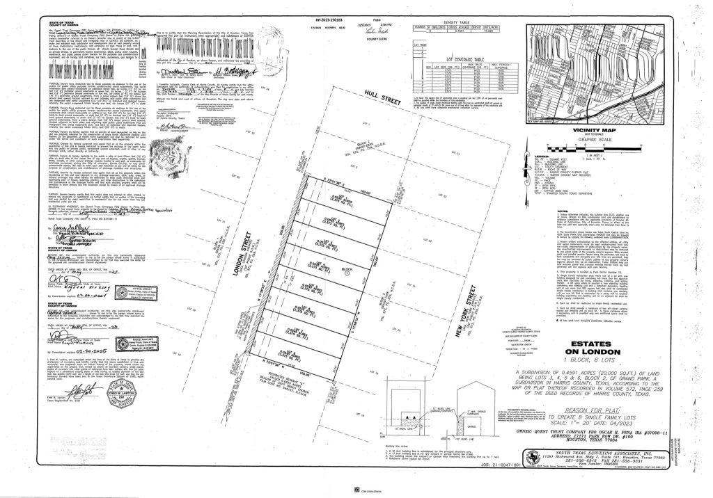
### **Incredible Development Opportunity in Grand Park Subdivision** A unique opportunity for developers and investors! This land has been **subdivided and approved into 8 individual lots**, all ready to build on. Strategically located in the desirable **Grand Park** subdivision, this project offers exceptional flexibility with zoning that allows for the construction of **single-family homes, multi-family units, or townhouses**. Best of all, each of the 8 lots has a **complete survey**, which streamlines the process and allows you to move forward quickly with your next construction project. This is the perfect canvas to create a profitable development with multiple design and use options!

Features of London Street

MLS® # 3968402
Price $500,000
Type Land
Sub-Type Lots
Status Active

Community Information

Address London Street
Area 4
Subdivision Grand Park
City Houston
County Harris
State TX
Zip Code 77021

Amenities

Utilities Natural Gas Available, Cable Available, Electricity Available
Is Waterfront No
Has Pool No
New Construction No
Golf Course N

Interior

Fireplace No

Exterior

Lot Description Subdivision, 0 Up To 1/4 Acre

School Information

District 27 - Houston
Elementary Foster Elementary School (Houston)
Middle Cullen Middle School (Houston)
High Yates High School

Additional Information

Foreclosure No
Short Sale No
RE / Bank Owned No

Listing Details

OfficeKeller Williams Memorial

Listing Map

Request a Showing

Provide a valid email address.
When would you like to view this property?